
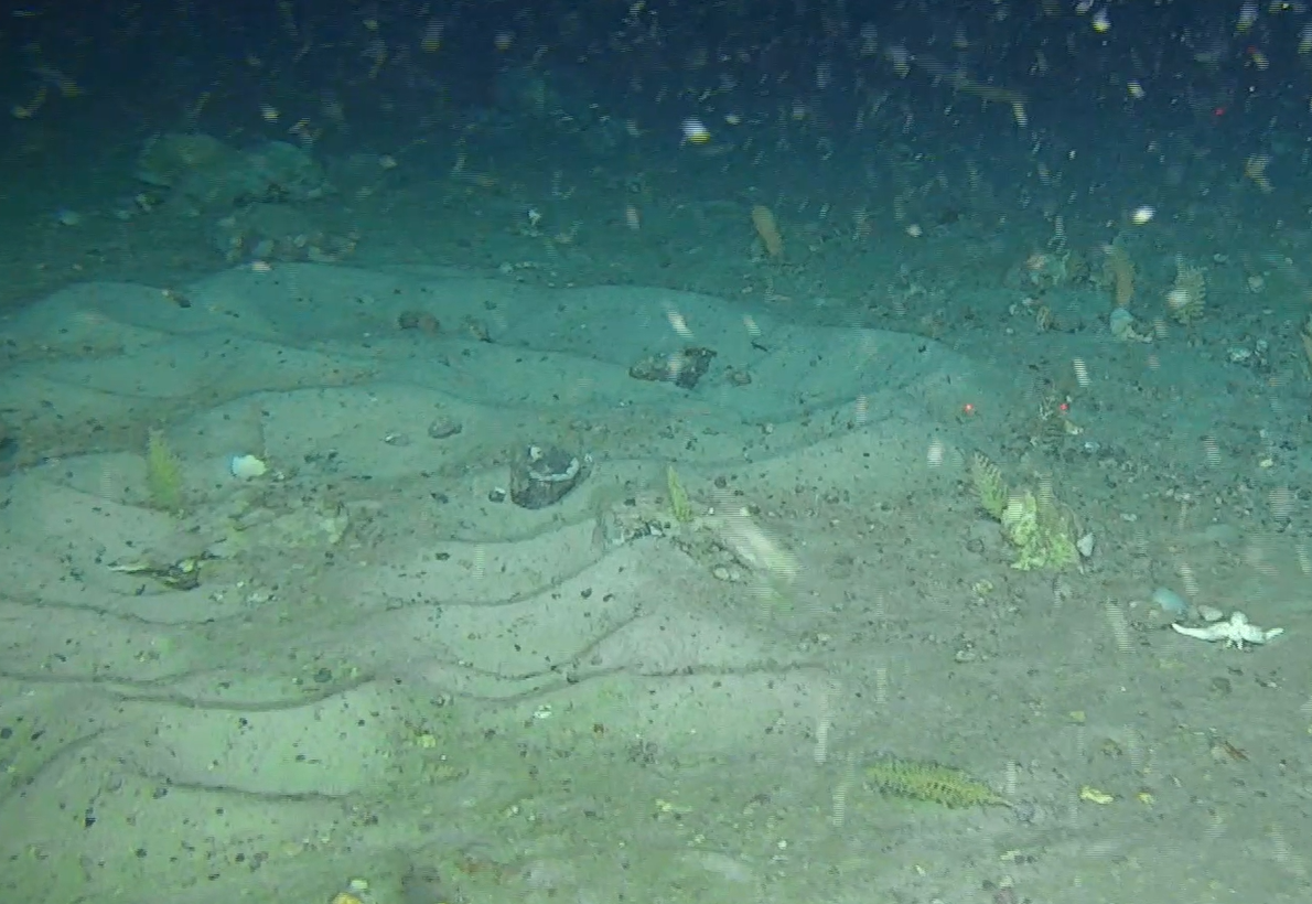
In the remote reaches of the western Weddell Sea, scientists on the Weddell Sea Expedition 2019 made an extraordinary discovery: seabed landscapes sculpted by thousands of nests built by a little-known Antarctic fish. A study published in Frontiers in Marine Science documents the first‐ever observation of maintained nest sites of the icefish ‘Lindbergichthys nudifrons’ (yellowfin notie) at depths of 290–411 m.
Paper published by: Russell B. Connelly, Lucy C. Woodall, Alex David Rogers, Michelle L. Taylor.
Using the remotely operated vehicle “Lassie”, the team surveyed five locations beneath what was once the ice-covered shelf of the calved A68 and found more than a thousand active icefish nests, plus additional abandoned bowls visible across the seafloor.
“Over a thousand maintained nests within the areas studied goes to show that exploration of our world is still underway, with constant new findings,” said lead author Russell Benjamin Connelly.
These nests weren’t randomly placed. The fish grouped their nest‐bowls into six distinct patterns – clusters, crescents, lines, ovals, sharp U‐shapes, and solitary nests – with clusters being the most prevalent. The authors propose the arrangements serve as a defence strategy: by nesting close to neighbours, individuals reduce their predation risk in what ecologists call the “selfish herd” effect.
“Over a thousand maintained nests within the areas studied goes to show that exploration of our world is still underway, with constant new findings”
This discovery does more than reveal unusual fish behaviour. It highlights a structurally complex, long‐term breeding ground which meets the criteria for a Vulnerable Marine Ecosystem. The study strengthens the case for recognising the Weddell Sea region as a marine protected area, to preserve its hidden biological orchestration.
In an era of rapid change for polar marine systems — from melting ice shelves to shifting ocean currents — documenting such ecosystems is urgent. As Dr Taylor puts it: “Increasing temperatures are beyond what most animals can evolve and adapt to withstand… some creatures may go extinct before we’ve even had a chance to study and understand them.”
This seafloor scene – thousands of eggs guarded by vigilant parents, geometric nest-layouts, and fish shaping the sediment – reminds us that even the cold, dark depths of Antarctica contain unexpected sophistication. The discovery may be remote, but the ecological implications ripple far beyond.
Some creatures may go extinct before we’ve even had a chance to study and understand them.